為官造福百姓,方免離任尷尬

【每日(ri)箴言】
近聞有不肖官(guan)(guan)員,離任起行(xing),地(di)方含(han)恨竟閉城門,不容放行(xing),且更喧擁市衢,裭(chi)夫人之衣。而毆(ou)及輿從者,嗚呼。居(ju)官(guan)(guan)至此可(ke)不恥哉!可(ke)不畏哉!敢并記(ji)之。俾(bi)司(si)民牧者宜著眼也。
——清•黃六鴻《福惠全書》
【深(shen)意淺說】
官員(yuan)離任的時候,那些造福地方的,會受到愛戴,被立碑建(jian)祠脫鞋送傘,被夾道送行。而平時危害(hai)地方的,官聲很差的,往往會被治(zhi)下(xia)百姓(xing)為(wei)難羞辱。
《清稗類鈔(chao)》有則(ze)軼聞說,陳某(mou)曾經擔任黔陽縣知縣,他(ta)的(de)妻(qi)子有才(cai)卻潑悍。陳縣令(ling)(ling)性格(ge)懦弱,平時公事往(wang)往(wang)受妻(qi)子干預。陳縣令(ling)(ling)曾經出告(gao)示禁止演唱花鼓戲(xi)(xi),但他(ta)的(de)妻(qi)子卻非常嗜好花鼓戲(xi)(xi)。有一次她傳戲(xi)(xi)班(ban)演戲(xi)(xi),但戲(xi)(xi)班(ban)正好被(bei)有錢(qian)人豐某(mou)雇請(qing)唱戲(xi)(xi),不(bu)能立即(ji)奉命前往(wang),去得有些遲緩,戲(xi)(xi)班(ban)名角龔姓小(xiao)旦還被(bei)豐某(mou)留下。縣令(ling)(ling)夫人大怒,教唆(suo)陳縣令(ling)(ling)簽(qian)發牌票(piao),把豐某(mou)抓捕到縣衙。
在(zai)陳縣令(ling)(ling)離任的時候,接(jie)任的官員都已經到了,陳夫人(ren)還在(zai)省里(li)(li)拜會她的顯宦干娘,導致陳縣令(ling)(ling)不能成(cheng)行(xing)。這(zhe)類(lei)事情惹得地方士民十(shi)分不爽。陳縣令(ling)(ling)臨(lin)行(xing)時,縣里(li)(li)的人(ren)就把縣令(ling)(ling)夫婦的各(ge)種丑(chou)事,寫成(cheng)三十(shi)首(shou)詩詞,塞到縣令(ling)(ling)的轎子中。這(zhe)個陳縣令(ling)(ling)臨(lin)行(xing)時遭到如此羞辱,也算咎由(you)自取。
與陳(chen)縣(xian)令相(xiang)比,鴉(ya)片(pian)戰爭(zheng)主(zhu)戰派(pai)名將(jiang)鄧廷楨更為(wei)尷尬。曾任(ren)甘(gan)(gan)肅(su)布政使(shi)的(de)(de)張集馨在《道咸宦海(hai)見聞錄》中(zhong)說:“甘(gan)(gan)省(sheng)地瘠民(min)貧,山多水少,墾種成熟之地,不(bu)能必(bi)其每(mei)歲有收。”但(dan)1843年起(qi)用(yong)為(wei)甘(gan)(gan)肅(su)布政使(shi)的(de)(de)鄧廷楨,誤聽(ting)誤信(xin)安西知州丁元淼的(de)(de)建議,輕率(lv)上奏朝(chao)廷,說甘(gan)(gan)肅(su)可以開墾荒地二十余(yu)萬(wan)畝,每(mei)年得丁糧草(cao)束數萬(wan)。這完全(quan)是(shi)捏造謊報(bao)數字,本質是(shi)加賦(fu)。州縣(xian)催征(zheng),鞭撲嚴急,老百姓受不(bu)了(le),就組(zu)織數千(qian)人到巡撫衙門(men)要求呈繳農(nong)具(ju),不(bu)當農(nong)民(min)。很快,繳上來的(de)(de)農(nong)具(ju)堆積如房(fang)屋(wu)一樣高,百姓喧嘩雷動。直(zhi)到按察使(shi)楊(yang)至(zhi)堂(tang)從中(zhong)調停,農(nong)民(min)才拿了(le)農(nong)具(ju)回(hui)家。州縣(xian)官看到這種情(qing)形,怕激(ji)起(qi)民(min)變,后來也不(bu)敢督促征(zheng)收增加的(de)(de)賦(fu)稅(shui)。
但鄧(deng)廷(ting)楨上奏(zou)朝(chao)廷(ting)的(de)(de)稅額已經(jing)奏(zou)定(ding),不可更(geng)改,甘肅(su)百姓(xing)深受(shou)其害,官民上下交困。人們追溯此事的(de)(de)始作俑者鄧(deng)廷(ting)楨,無(wu)不痛恨唾(tuo)罵。后鄧(deng)廷(ting)楨升任(ren)陜(shan)西(xi)巡撫,甘肅(su)農(nong)民攜帶(dai)瓦礫、刀杖,埋(mai)伏在鄧(deng)廷(ting)楨可能經(jing)過的(de)(de)東(dong)關(guan)坡(po),準備為(wei)離任(ren)的(de)(de)布政(zheng)使送行。多虧陜(shan)甘總督富呢揚阿派五百士兵相送,又(you)經(jing)地方官妥為(wei)開導,鄧(deng)廷(ting)楨才化險為(wei)夷(yi),得以脫身。
后(hou)(hou)來,琦(qi)善(shan)任陜(shan)甘(gan)總(zong)督,認(ren)為(wei)(wei)“甘(gan)省稗政,莫大于加賦一條(tiao),若能奏(zou)改(gai)復(fu)舊,民困(kun)始(shi)蘇”。于是上奏(zou)朝廷將(jiang)這個(ge)賦稅取消(xiao)。琦(qi)善(shan)上奏(zou)取消(xiao)這個(ge)賦稅后(hou)(hou),甘(gan)肅(su)(su)百姓“萬民歡悅,耆老婦稚(zhi),膜拜(bai)督轅,如去惡疾”。后(hou)(hou)琦(qi)善(shan)被人陷害,逮捕送(song)京(jing)。當時(shi)甘(gan)肅(su)(su)萬民遮(zhe)道,捐款八(ba)千兩銀子送(song)行。鄉(xiang)紳(shen)夢華家還準備在五泉山為(wei)(wei)他立廟。
為官(guan)一任(ren),造福一方(fang),當(dang)官(guan)時(shi)給老百(bai)(bai)姓(xing)帶來利益的(de),他離(li)(li)任(ren)的(de)時(shi)候,老百(bai)(bai)姓(xing)都不會忘記。康熙時(shi)期在江蘇任(ren)巡(xun)撫的(de)湯斌,離(li)(li)開江蘇的(de)時(shi)候,老百(bai)(bai)姓(xing)念(nian)及他的(de)一系列惠(hui)政,“罷(ba)市挽留(liu),數(shu)日聚集院(yuan)署(shu),哀號之聲,至不忍(ren)聞”,以致不能成行(xing)。湯斌不得(de)不寫(xie)下《臨行(xing)曉(xiao)諭士民》,說他雖(sui)不忍(ren)離(li)(li)去,但君命難違。承諾到中央(yang)做(zuo)官(guan)后,一定把當(dang)地賦(fu)稅沉重的(de)情況向中央(yang)反映,希望(wang)老百(bai)(bai)姓(xing)不要多慮。他還告誡(jie)百(bai)(bai)姓(xing),今(jin)后仍然(ran)要孝親敬長、教子訓(xun)孫、忠信勤儉、公平謙(qian)讓等等。
俗(su)話說,“公(gong)門里面好修行”。為官作宦的,但凡(fan)平時(shi)對治下百姓(xing)做一點好事,離(li)任(ren)的時(shi)候總(zong)不至于太過尷尬。
(梁發(fa)芾)
【人間草木】

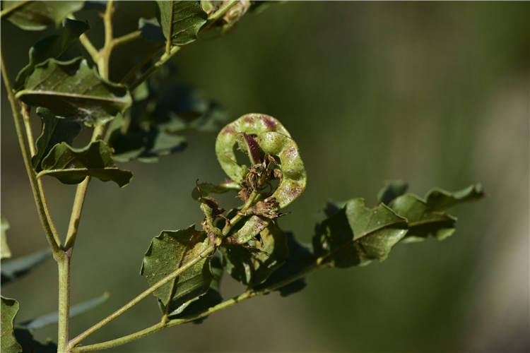
名稱:甘草
保護級別:國家二級
分布:隴(long)南、甘南、臨夏、定西(xi)、隴(long)東、蘭州、白銀(yin)、張掖、武威、酒泉
簡介:甘(gan)草(cao),多年生(sheng)草(cao)本,有(you)重要的(de)藥用價值(zhi)和較高(gao)的(de)經(jing)濟價值(zhi)。在(zai)我國(guo)歷(li)代本草(cao)書籍中(zhong)均有(you)記載(zai),被稱(cheng)為“眾藥之王(wang)”。花(hua)期6-8月,果期7-10月。根(gen)及(ji)其根(gen)莖入(ru)藥,具有(you)補脾益氣、潤肺止咳(ke)、清熱解(jie)毒和調和諸藥等(deng)功效,因此甘(gan)草(cao)有(you)“十藥九草(cao)”及(ji)“國(guo)老”的(de)稱(cheng)呼。
拓展:古人是這(zhe)樣形容甘草的,諸(zhu)藥(yao)中以甘草為君,功(gong)能調(diao)和諸(zhu)藥(yao),遂有國老(lao)之(zhi)號。“國老(lao)”即(ji)帝師之(zhi)稱,雖非(fei)君而為君所宗(zong)。
寓意:美好樂意
(植(zhi)物資料由西北師范大學白增福、陳學林(lin)提供)
- 2024-02-18如何把握“指定購買型”案件性質及其犯罪數額
- 2024-02-18甘肅深化整治糧食購銷領域腐敗 鐵紀守護隴原糧倉
- 2024-02-18假日期間各地消費市場持續升溫 春節經濟“熱辣滾燙”
- 2024-02-18廣安觀潮 | 逐條逐項抓好落實
西北角
中國(guo)甘肅(su)網微(wei)信
微博(bo)甘(gan)肅(su)
學(xue)習強國
今日頭條(tiao)號





